TURTLES AND DOLPHINS AND WHALES, OH MY! March 9, 2025-April 16, 2025

I realize that the title of this blog update is a spoiler with no alert! Sorry about that, but how could I resist the Wizard of Oz reference for an update that will be all about our wonderful sea-life adventures?! The title DID leave out at least one exciting encounter, though!

I’ll record pictures from snorkeling sites and sea-life encounters in chronological order and by countries along our sailing route north through the Windward Islands of the Lesser Antilles. 

SAINTE ANNE, MARTINIQUE:

It seems that this site just outside the bay at Saint Anne was once an impressive snorkeling spot especially for club coral. It reminded me of rolling hills, but instead of rolling hills of grass they are hills of club coral.

We went snorkeling there with our friends, Lori and Dan on s/v BeBe.

There is still quite a lot of club coral, but there is a lot that is dead and broken apart.  This could be a result of hurricane Maria a few years ago or Beryl last year.

This picture is a perfect example of bleached coral. Because of rising water temperatures, the algae that gives the coral its color leaves the polyps. The oval shape in the middle of this coral head is dead, but the “bleached-white” part is not dead, just devoid of the algae. If the water temps stay too high or whatever made the algae depart does not change, the coral will die.

Diving instead of staying on the surface, allows me to get clear pictures and see the colors more vividly, such as this little juvenile Blue Tang (juvenile “Dory” fish).

There were many adult Blue Tang swimming in the coral valleys along with other species of fish.

Healthy Brain Coral

Brain Coral in the foreground and Pipe Sponge in the background

Coral Bone Yard

Sheet Coral

Some sort of Sea Rod (A Gorgonian Coral)

A ravaged looking Common Sea Fan (another type of Gorgonian Coral)

Vividly blue Trumpet Fish!

P3200053

The Trumpet Fish’s Back Half From A Little Further Away (With a lengthy fish, it is difficult to get the whole fish in the picture when I’m very near to it.)

I saw a turtle at this snorkel site, as well, but it was very shy and fast!

GRAND ANSE, MARTINIQUE:

After our time in Sainte Anne, we sailed to Grand Anse. It is a fun snorkeling spot!

Flying Gurnard (This fish is not to be confused with the flying fish we often see from our boat. It is a bottom dweller. When it gets excited, it spreads its “wings” wide. This one is placidly hanging out.)

Sea Rod Coral

Sun Anemone (I learned that just like coral and for the same reasons, sea anemone can suffer from bleaching. Sadly, I observed this in some of these Sun Anemone)

Pipe Sponge (I love the pretty salmon color)

Barrel Sponge

Shy Green Turtle “Flying” Away

Feather Stars (a type of Sea Star, or what we commonly call Star Fish)

Orange Cup Coral—My favorite, especially when their tentacles are out! No tentacles were out on this day. I have seen Orange Cup Coral in only 2 snorkel spots we’ve visited.

ROSEAU, DOMINICA:

This island earns its nickname “The Nature Isle”, and Dominica holds a special place in our hearts!

IMG_2045

Our friend, who allows us to fancy ourselves as his honorary parents, Mr. Beanz, has always provided us with amazing experiences when we are moored in Roseau, Dominica’s capital city.

IMG_2026

IMG_2035

We were not disappointed this year! He took us out to try to find a whale! We were able to get very close to a Sperm Whale after patiently waiting for her and tracking her clicking sounds using a hydro-phone for a couple of hours. Whale watching from a small boat so close to the surface of the ocean and so close to the whale is a unique and special experience!

Click on this text for a short video of our whale watching trip

Click on this text to see a video of the whale diving

We had another close encounter with a different marine mammal a couple of days later.

That day, my morning coffee and daily Bible reading time up in the cockpit was interrupted by a very sociable dolphin!

We consider it a treat when we encounter dolphins playfully swimming and leaping along with our boat as we sail, but they do not usually come into an anchorage…

When this one did, I bounded down the companion way exclaiming to Mark (who was on the phone) what was going on and got my swimsuit on as fast as I could. I scrambled back up the companion way and to the stern to get my snorkeling gear out of the aft locker. As I was doing that, I saw our French boat neighbors in their dinghy with their two young boys following the dolphin around the anchorage. I usually hesitantly take my time getting into the “cold” water, but this time, I was in the water as soon as I could lower the ladder. I even forgot to take my glasses off, which I discovered when I was treading water putting my mask on. I quickly put my glasses on the back steps (thank goodness I didn’t lose them), donned my mask and paddled out to play with the dolphin at about the same time as the boys and dad slid into the water from their dinghy! Mark joined as soon as he could get off the phone!

The dolphin seemed to be enjoying itself as much as the humans! It was unperturbed by the constant stream of exclamations and wild thrashings of the excited little boys, which created clouds of bubbles!

It checked out our mooring…

and ME!

We finally got out of the water after about 30 minutes of playtime with the dolphin who we later learned has been named Betsy by the locals. Apparently, she’s been visiting bays up and down the leeward side of Dominica this season! What an exciting and wonderful experience! We feel so privileged to be able to have spontaneous and peaceful encounters with wildlife such as this!

On our own, we dinghied south of our anchorage to go check out Champagne Reef. The bubbles from which this place gets its name do not come from excited little boys thrashing in the water. These bubbles come from the volcanic gasses escaping from the ocean floor. The audible and constant whooshing of the gas is a mysterious and somewhat foreboding sound.  There are 9 active; although, not currently erupting volcanoes in Dominica. The idea has been shared with us by a 13 year old Dominican visitor on Nancy Lu that all the escaping gas that you find throughout Dominica is assurance that eruptions are not to be feared. In the immediate vicinity of the bubbles, due to the elevated water temperatures, there is not much coral or many fish, but just a few kicks of the fins gets you to a place where there is much to be seen.

White Spotted Filefish

Colorful Sea Fans

Something about this area made me feel like I was swimming in a giant aquarium, especially when a couple of turtles went “flying” by!

PORTSMOUTH, DOMINICA:

Our friend, Faustin Alexis, took Elizabeth from s/v Pelican and us to an exciting snorkel spot at Toucari Bay, which is a couple of bays to the north of our anchorage in Price Rupert Bay.

Alexis’ boat gave us a much more smooth ride there than our dinghy would have.

Brain Coral

Flower Coral

Intermediate Stage French Angel Fish (It gave me a “run” for my money, which Elizabeth found quite entertaining!)

I was anticipating seeing Orange Cup Coral near here as we have in the past, and I was not disappointed!

I spent a lot of time at different colonies of the colorful coral trying to make sure I got some good photos. At a particular colony, it took me a while to realize that what I thought was a small fish was actually a tiny little eel amongst the coral! It looks bigger than it was because I was photographing it from so close. For reference, the coral polyps are about 3/4 inch in diameter.

Juvenile Yellow Tail Damsel Fish, Small Barrel Sponge, Black Bar Soldier Fish, and Red Branching Sponge (Oh, And A Sea Urchin Hiding Behind A Rock)

Feather Tube Worm

A Sea Moss Farm (Mark likes Sea Moss smoothies.)

ILET A CABRIT DES SAINTES:

A Really Big (2.5 inch diameter) Sea Pearl (one of the world’s largest single cells organisms)

Sea Rod Coral (with some tentacles out!!)

More Sea Rod Coral (with a Trumpet Fish in its midst)

The Prettiest Little Reef Teeming With Life (but a little bit of bleaching!!)

Brain Coral

PAIN DE SUCRE, LES SAINTES (Sugar Loaf, The Saints-just across the bay from Ilet a Cabrits):

Do you see what I see??

Let me get closer! I was surprised that I spotted it in the deepish water!

This octopus was missing at least one of its eight tentacles.

It changed its camouflage several times as it moved around.

Click on this text for first video of the octopus

Click on this text for the second video of the octopus

A Well Hidden Moray Eel And Yellow Arrow Crab (It looked like a really big Granddaddy Long Legs Spider)

PIGEON ISLAND, GUADALOUPE:

Black Durgon AKA Black Triggerfish

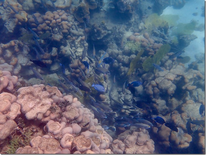
School Of Black Jack Fish

We dinghied around to the northwest side of Pigeon Island to what is called The Aquarium.  The current and surf on the the east side where we’ve always been before was wicked, but this spot was calm.

The two Elkhorn Coral colonies that were in The Aquarium were in a sad state. They were both dead.

There was a big school of Mark’s favorite fish, Blue Tang. I tried to keep up with them!

That’s it for the sea-life we’ve experienced as we sailed north through the Windward Islands of the Caribbean. We have started our journey back south, now, having sailed from Guadeloupe back to The Saints yesterday (April 19). If I can get my blogging act together, an update on our land adventures as we sailed north will be coming soon.

4 thoughts on “TURTLES AND DOLPHINS AND WHALES, OH MY! March 9, 2025-April 16, 2025

  1. Not sure if the Sea Pearl or the Octopus is my favorite, but I love that you got to encounter both! [Although, if I’d actually gotten to swim with Betsy, that’d probably be my most lasting memory!]

    Like

Leave a comment